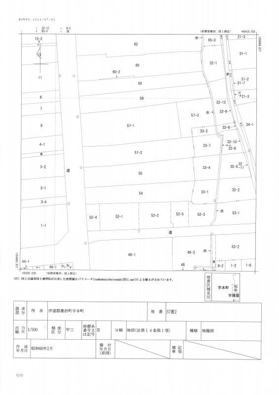
No.006176 伊達郡桑折町本町
| 住所 | 伊達郡桑折町本町 | 価格 | 1,775万円 |
|---|---|---|---|
| 坪単価 | 10.5万円 | 地目 | 宅地 |
| 土地面積 | 558.52㎡ / 168.95坪 | ||
| 詳細情報 | |||
|---|---|---|---|
| 建ぺい率 | 80% | 容積率 | 200% |
| 分割(購入後) | 不可 | 現状 | 更地 |
| 都市計画 | 市街化区域 | ||
| 用途地域 | 近隣商業地域 | ||
| 道路位置 | 西側 10.0m | ||
| セットバック | 不要 | ||
| 設備 | ガス:プロパン 水道:公営 排水:都市下水 | ||
| 交通機関 | - / - | ||
| 学区 | 醸芳小学校 / 醸芳中学校 | ||
| 引渡し | 相談 | ||
| 取引態様 | 仲介 | ||
| 整理番号 | 20001 | ||
| 備考 | 168坪の広々敷地!!
水道引込み 東側隣地より 排水 南側より流入あり |
||
※仲介手数料は法定手数料となります。詳しい内容はお問い合わせ下さい。

他の写真
